Les prévisionnistes ajoutent qu'une fois entré dans le golfe du Mexique, l'ouragan devrait ensuite bifurquer vers le nord-est, en direction du sud de la Floride et des Keys.
Actuellement, plusieurs pays sont en alerte sur les côtes de la mer des Caraïbes, où l'ouragan Wilma est passé en quelques heures de la catégorie 2 à 5, la plus élevée de l'échelle Saffir-Simpson, au cours de la nuit de mardi à mercredi.
D'après les mesures du Centre national des ouragans de Miami, il s'agirait de l'ouragan le plus puissant de l'année. Après avoir fait au moins 10 victimes en Haïti et une autre en Jamaïque, le puissant ouragan se dirige maintenant vers les côtes du Honduras et l'île du Grand Caïman.
Wilma, qui traîne des vents de 280 km/h et des pluies torrentielles, devrait ensuite entrer dans le golfe du Mexique en passant entre Cuba et la péninsule du Yucatan.
600 000 mm de pluie attendus
Selon les experts du National Hurricane Center, Wilma pourrait laisser jusqu'à 60 centimètres de pluie dans l'ouest de l'île ! Ces derniers ajoutent qu'une fois entré dans le golfe du Mexique, l'ouragan devrait ensuite bifurquer vers le nord-est, en direction du sud de la Floride et des Keys.
Wilma pourrait alors causer de gros dégâts à la Floride, tout juste remise des ouragans qui ont détruit près de la moitié de la récolte d'oranges l'an dernier. L'ouragan devrait toutefois épargner les installations pétrolières du golfe du Mexique qui se relèvent à peine des passages de Katrina et de Rita.
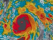
Malgré son intensité, l'ouragan Wilma est également très compact, avec un diamètre d'à peine 60 kilomètres ce qui est assez rare, les diamètres pouvant atteindre plus de 200 Km. Les météorologues ont noté que la pression atmosphérique au centre de l'ouragan était la plus basse jamais enregistrée depuis l’observation des cyclones il y a 150 ans avec 884 hectopascals. La pression atmosphérique normale étant 1015 hectopascals.
Pour l’anecdote, Wilma étant le dernier nom de la liste élaborée par les autorités météorologiques pour nommer les tempêtes, les prochaines à venir dans l'Atlantique prendront désormais le nom des lettres de l'alphabet grec. Après Wilma viendra donc Alpha, Beta, Gamma...
Le Mexique demande le retour des touristes
Une alerte au cyclone a été lancée dans le Yucatan (voir encadré), à Cuba, dans les îles Caïmans, ainsi qu'au Honduras et au Salvador, où environ 2000 personnes sont mortes lors du passage du cyclone Stan qui avait déclenché des coulées de boue.
Le Ministère des Affaires étrangères publiait en hier en fin de journée un communiqué demandant aux ressortissants français de suivre les recommandations des autorités mexicaines. Des autorités qui ont demandé hier aux touristes en vacances dans la région de Cancun de rentrer dans leur pays d'origine.
« Il est important de prendre les mesures préventives nécessaires. Premièrement : que les touristes commencent à retourner dans leur ville d'origine. Deuxièmement : commencer à protéger les maisons et mettre à l'abri les embarcations», a déclaré Roberto Vargas, le responsable de la Protection civile dans la région de Cancun.
Hier à la mi-journée, les autorités devaient décider si la zone hôtelière de Cancun, où 33.300 touristes sont hébergés, serait évacuée ou pas. « Si la Protection civile ordonne l'évacuation, nous nous attèleront au relogement de nos hôtes. Pour l'instant, il n'y a pas d'ordre d'évacuation», a déclaré la vice-présidente de l'association des hôtels de Cancun, Patricia Morales Portas.
Si c’est le cas, les touristes seraient alors transférés dans des hôtels éloignés des côtes où dans un des plus de 250 centres d'hébergement d'urgence (gymnases, écoles) dans la région.
La région de Cancun est régulièrement frappée par les cyclones. Le dernier, Emily, de force 3 quand il avait touché le Yucatan mi-juillet, avait fait d’imporatnts dégâts matériels, mais pas de victimes.
Cuba : Pluie torrentielle à Santiago
Selon l’agence cubaine d’information, l’Etat major national de la Défense civile (DC) a déclenché l’alerte au cyclone pour les provinces de Pinar del Rio, La Havane et Matanzas ainsi que pour la municipalité spéciale de l’île de la jeunesse.
Mais les conséquences de Wilma se font déjà sentir. 5 296 personnes ont d’ores et déjà été évacuées dans la partie orientale de Cuba (Santiago et Guantanamo) suite aux très fortes averses intenses provoqués par le cyclone Wilma depuis la fin de semaine.
Les informations venant des provinces affectées par ces averses font état de crues et de glissements de terrains qui ont coupé plusieurs voies terrestres de communication sans faire toutefois de victime. Pour le moment, la province la plus affectée par les averses est celle de Santiago de Cuba où les voies d’accès à plusieurs localités sont coupées.
« Nous suivons le parcours de l’ouragan heure par heure et attendons les consignes de notre maison mère. Pour l’instant, nous n’en avons pas » déclare-t-on chez Havanatours. 2005 annus horribilis ? Nous n’en sommes pas encore là.
Mais avec la liste des catastrophes qui s’allonge, vivement que l'année se termine !
D'après les mesures du Centre national des ouragans de Miami, il s'agirait de l'ouragan le plus puissant de l'année. Après avoir fait au moins 10 victimes en Haïti et une autre en Jamaïque, le puissant ouragan se dirige maintenant vers les côtes du Honduras et l'île du Grand Caïman.
Wilma, qui traîne des vents de 280 km/h et des pluies torrentielles, devrait ensuite entrer dans le golfe du Mexique en passant entre Cuba et la péninsule du Yucatan.
600 000 mm de pluie attendus
Selon les experts du National Hurricane Center, Wilma pourrait laisser jusqu'à 60 centimètres de pluie dans l'ouest de l'île ! Ces derniers ajoutent qu'une fois entré dans le golfe du Mexique, l'ouragan devrait ensuite bifurquer vers le nord-est, en direction du sud de la Floride et des Keys.
Wilma pourrait alors causer de gros dégâts à la Floride, tout juste remise des ouragans qui ont détruit près de la moitié de la récolte d'oranges l'an dernier. L'ouragan devrait toutefois épargner les installations pétrolières du golfe du Mexique qui se relèvent à peine des passages de Katrina et de Rita.
Malgré son intensité, l'ouragan Wilma est également très compact, avec un diamètre d'à peine 60 kilomètres ce qui est assez rare, les diamètres pouvant atteindre plus de 200 Km. Les météorologues ont noté que la pression atmosphérique au centre de l'ouragan était la plus basse jamais enregistrée depuis l’observation des cyclones il y a 150 ans avec 884 hectopascals. La pression atmosphérique normale étant 1015 hectopascals.
Pour l’anecdote, Wilma étant le dernier nom de la liste élaborée par les autorités météorologiques pour nommer les tempêtes, les prochaines à venir dans l'Atlantique prendront désormais le nom des lettres de l'alphabet grec. Après Wilma viendra donc Alpha, Beta, Gamma...
Le Mexique demande le retour des touristes
Une alerte au cyclone a été lancée dans le Yucatan (voir encadré), à Cuba, dans les îles Caïmans, ainsi qu'au Honduras et au Salvador, où environ 2000 personnes sont mortes lors du passage du cyclone Stan qui avait déclenché des coulées de boue.
Le Ministère des Affaires étrangères publiait en hier en fin de journée un communiqué demandant aux ressortissants français de suivre les recommandations des autorités mexicaines. Des autorités qui ont demandé hier aux touristes en vacances dans la région de Cancun de rentrer dans leur pays d'origine.
« Il est important de prendre les mesures préventives nécessaires. Premièrement : que les touristes commencent à retourner dans leur ville d'origine. Deuxièmement : commencer à protéger les maisons et mettre à l'abri les embarcations», a déclaré Roberto Vargas, le responsable de la Protection civile dans la région de Cancun.
Hier à la mi-journée, les autorités devaient décider si la zone hôtelière de Cancun, où 33.300 touristes sont hébergés, serait évacuée ou pas. « Si la Protection civile ordonne l'évacuation, nous nous attèleront au relogement de nos hôtes. Pour l'instant, il n'y a pas d'ordre d'évacuation», a déclaré la vice-présidente de l'association des hôtels de Cancun, Patricia Morales Portas.
Si c’est le cas, les touristes seraient alors transférés dans des hôtels éloignés des côtes où dans un des plus de 250 centres d'hébergement d'urgence (gymnases, écoles) dans la région.
La région de Cancun est régulièrement frappée par les cyclones. Le dernier, Emily, de force 3 quand il avait touché le Yucatan mi-juillet, avait fait d’imporatnts dégâts matériels, mais pas de victimes.
Cuba : Pluie torrentielle à Santiago
Selon l’agence cubaine d’information, l’Etat major national de la Défense civile (DC) a déclenché l’alerte au cyclone pour les provinces de Pinar del Rio, La Havane et Matanzas ainsi que pour la municipalité spéciale de l’île de la jeunesse.
Mais les conséquences de Wilma se font déjà sentir. 5 296 personnes ont d’ores et déjà été évacuées dans la partie orientale de Cuba (Santiago et Guantanamo) suite aux très fortes averses intenses provoqués par le cyclone Wilma depuis la fin de semaine.
Les informations venant des provinces affectées par ces averses font état de crues et de glissements de terrains qui ont coupé plusieurs voies terrestres de communication sans faire toutefois de victime. Pour le moment, la province la plus affectée par les averses est celle de Santiago de Cuba où les voies d’accès à plusieurs localités sont coupées.
« Nous suivons le parcours de l’ouragan heure par heure et attendons les consignes de notre maison mère. Pour l’instant, nous n’en avons pas » déclare-t-on chez Havanatours. 2005 annus horribilis ? Nous n’en sommes pas encore là.
Mais avec la liste des catastrophes qui s’allonge, vivement que l'année se termine !
Pré-alerte cyclonique: pour les Iles Caymans, pour le Yucatan (Mexique), de Cabo Catoche à Punta Gruesa, et pour Cuba, de la province de Matanzas vers l'ouest jusqu'à Pinar del Rio, y compris l'ile de la Jeunesse.
Avis de Tempête: pour les Iles Caymans et pour le Honduras, de la frontière nicaraguéenne à Cabo Camaron.
Le 19 octobre à 09h00 T.U , l'ouragan Wilma était centré par 17.2 °N 82.5 °W, soit 590 km au sud-est de Cozumel (Mexique).
Il se déplace vers l'ouest-nord-ouest à 13 km/h et devrait s'orienter vers le nord-ouest durant les prochaines 24 heures
Les vents maximaux au centre étaient de 280 km/h avec des rafales plus fortes. Il devrait fluctuer en intensité durant les prochaines 24 heures. Wilma est un ouragan de catégorie 5 potentiellement catastrophique.
Les vents de force cyclonique s'étendaient jusqu'à 30 km du centre, et les vents de force tempête jusqu'à 260 km du centre. La pression minimale était de 884 mb.
Avis de Tempête: pour les Iles Caymans et pour le Honduras, de la frontière nicaraguéenne à Cabo Camaron.
Le 19 octobre à 09h00 T.U , l'ouragan Wilma était centré par 17.2 °N 82.5 °W, soit 590 km au sud-est de Cozumel (Mexique).
Il se déplace vers l'ouest-nord-ouest à 13 km/h et devrait s'orienter vers le nord-ouest durant les prochaines 24 heures
Les vents maximaux au centre étaient de 280 km/h avec des rafales plus fortes. Il devrait fluctuer en intensité durant les prochaines 24 heures. Wilma est un ouragan de catégorie 5 potentiellement catastrophique.
Les vents de force cyclonique s'étendaient jusqu'à 30 km du centre, et les vents de force tempête jusqu'à 260 km du centre. La pression minimale était de 884 mb.

















